 
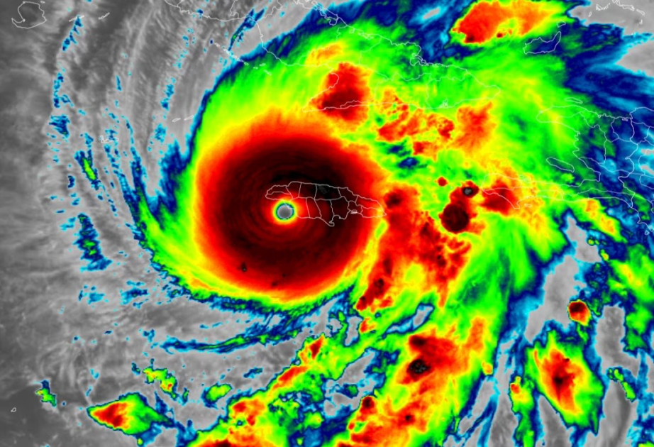
“Melissa” qasırğası Karib dənizi hövzəsində 30-dan çox insanın ölümünə səbəb olub. SİA-nın məlumatına görə, bu səhər qasırğa nəticəsində Kubada suyun səviyyəsinin yüksəlməsi nəticəsində təxminən 140 min insanla əlaqə kəsilib. Hadisə nəticəsində Haitidə 24 nəfər insan ölüb. Ötən gün qasırğadan ağır zərbə alan Yamaykada dörd nəfər fırtına zamanı, 3 nəfərə isə fırtına öncəsi hazırlıq zamanı ölüb. Dominikan Respublikasında bir nəfər həyatını itirib.Hazırda 1-ci kateqoriyaya kimi zəifləyən qasırğa Baham adalarına doğru irəliləyir.